Bekanntmachung des Marktes Wolnzach
Vollzug des Baugesetzbuches – BauGB
Aufstellung des Bebauungsplans Nr. 136 für das Gebiet "An der Glandergassleiten" in Wolnzach;
hier: Erneute verkürzte Beteiligung der Öffentlichkeit gemäß § 4a Abs. 3 BauGB
Der Bauausschuss des Marktes Wolnzach hat in seiner Sitzung vom 24.02.2026 der vom Planungsbüro Helmut Breunig aus München ausgearbeiteten vorläufigen Abwägung der Stellungnahmen zu den Äußerungen der Öffentlichkeit sowie der Behörden und sonstigen Trägern öffentlicher Belange gem. § 3 Abs. 2 BauGB und § 4 Abs. 2 BauGB zugestimmt.
Der geänderte Entwurf des Bebauungsplanes Nr. 136 für das Gebiet „An der Glandergassleiten“, mit Begründung, Umweltbericht – jeweils in der Fassung vom 24.02.2026 – sowie dem Baugrundgutachten, dem Entwässerungskonzept, der saP, dem Schallgutachten und dem Verkehrsgutachten wurde in der Sitzung des Bauausschusses vom 24.02.2026 erneut gebilligt und die Verwaltung wurde beauftragt, den Entwurf des Bebauungsplanes Nr. 136 für das Gebiet „An der Glandergassleiten“, mit Begründung, Umweltbericht und allen auszulegenden Unterlagen gemäß § 4a Abs. 3 BauGB in Bezug auf die Änderungen erneut verkürzt zu veröffentlichen und die Behörden und sonstigen Träger öffentlicher Belange gemäß § 4a Abs. 3 BauGB zu beteiligen.
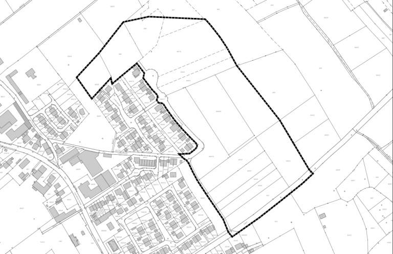
Das Planungsgebiet liegt am nordöstlichen Ortsrand der Marktgemeinde Wolnzach und hat eine Größe von rund 9,02 ha.
Der Geltungsbereich umfasst die Grundstücke Fl.Nr. 943, 943/3, 943/4, 943/6, 943/7, 943/8, 944 Teilfläche (Tlfl.), 944/2, 944/3, 944/19, 944/20, 947 Tlfl., 947/2, 948 Tlfl., 949 und 955/6 der Gemarkung Wolnzach.
Die Grenzen des Geltungsbereiches werden wie folgt festgesetzt:
Nördliche Grenze:
Grundstücke Fl. Nr. 955/4, 955/2, 948 nördliche Restfläche und 947 nördliche Restfläche der Gemarkung Wolnzach
Östliche Grenze:
Grundstücke Fl. Nr. 945, 944 östliche Restfläche, 943/5 und 943/2 der Gemarkung Wolnzach
Südliche Grenze:
Grundstücke Fl. Nr. 939/2 (Ortsstraße Glandergasse), 944/14, 944/16, 951/2, 951/1, 951/20 (Ortsstraße Lindenstraße) und 955/9 der Gemarkung Wolnzach
Westliche Grenze:
Grundstücke Fl.Nr. 942/3 (öffentl. Grünfläche), 944/17 (Ortsstraße Obere Lindenstraße) und 955/5 der Gemarkung Wolnzach
Die Grenzen des Plangebietes sind im nachfolgenden unmaßstäblichen Lageplan umrandet dargestellt und befinden sich innerhalb der Linien:

Der geänderte Entwurf des Bebauungsplans Nr. 136 „An der Glandergassleiten" mit der Begründung und Umweltbericht – jeweils in der Fassung vom 24.02.2026 – der schalltechnischen Untersuchung vom 04.12.2025, dem Fachbeitrag zur speziellen artenschutzrechtlichen Prüfung (saP) vom 14.07.2025, dem Baugrundgutachten vom 29.05.2019 mit Nacherkundung vom 17.10.2019, dem Entwässerungskonzept vom 05.12.2025, der Verkehrsuntersuchung vom 26.11.2025 sowie den nach Einschätzung des Marktes Wolnzach wesentlichen, bereits vorliegenden umweltbezogenen Stellungnahmen – wird in der Veröffentlichungsfrist
vom Dienstag, den 31.03.2026, bis einschließlich Freitag, den 24.04.2026,
erneut im Internet verkürzt veröffentlicht; die vorgenannten Dokumente sind auf der Internetseite des Marktes Wolnzach (https://www.wolnzach.de/amtliche-bekanntmachungen.n160.html) unter der Rubrik „Aktuelles“ im Bereich „Amtliche Bekanntmachungen“ einsehbar.
Es sind folgende Arten umweltbezogener Informationen verfügbar:
|
Schutzgut |
Art der vorhandenen Information |
|
Mensch und Gesundheit |
|
|
Lebensräume für Tiere und Pflanzen, sowie biologische Vielfalt |
|
|
Fläche und Boden |
|
|
Wasser |
|
|
Luft und Klima |
|
|
Orts- und Landschaftsbild |
|
|
Energie |
|
|
Kultur und sonstige Sachgüter |
|
Gemäß § 3 Abs. 2 Satz 4 BauGB wird auf Folgendes hingewiesen:
- Stellungnahmen können während der Dauer der Veröffentlichungsfrist und nur in Bezug auf die Änderungen oder Ergänzungen und ihre möglichen Auswirkungen abgegeben werden.
- Stellungnahmen sollen elektronisch übermittelt werden (bauamt@wolnzach.de), können bei Bedarf aber auch auf anderem Wege (z.B. per Post oder per Fax) abgegeben werden.
- Nicht fristgerecht abgegebene Stellungnahmen können bei der Beschlussfassung über den Bauleitplan unberücksichtigt bleiben.
- Die im Internet veröffentlichten Unterlagen werden während der Veröffentlichungsfrist auch in Papierform im Rathaus des Marktes Wolnzach, Marktplatz 1, Bauamt, Zimmer 10 während der Dienststunden (Montag, Mittwoch, Donnerstag und Freitag von 8 Uhr bis 12 Uhr sowie Donnerstag zusätzlich von 13.30 Uhr bis 18 Uhr) ausgelegt.
Der Inhalt dieser Bekanntmachung ist auch auf der Internetseite des Marktes Wolnzach unter https://www.wolnzach.de/amtliche-bekanntmachungen.n160.html (unter Aktuelles/Amtliche Bekanntmachungen) eingestellt.
Der Inhalt der Bekanntmachung und die zu veröffentlichenden Unterlagen sind zudem über das zentrale Internetportal des Freistaats Bayern (https://geoportal.bayern.de/bauleitplanungsportal) zugänglich.
Datenschutz: Die Verarbeitung personenbezogener Daten erfolgt auf der Grundlage der Art. 6 Abs. 1 Buchstabe e Datenschutzgrundverordnung (DSGVO) i. V. m. § 3 BauGB und dem Bayerischen Datenschutzgesetz (BayDSG). Sofern Sie Ihre Stellungnahme ohne Absenderangaben abgeben, erhalten Sie keine Mitteilung über das Ergebnis der Prüfung. Weitere Informationen entnehmen Sie bitte dem Formblatt „Datenschutzrechtliche Informationspflichten im Bauleitplanverfahren“, das ebenfalls öffentlich ausliegt.
Wolnzach, den 30.03.2026
Jens Machold
1. Bürgermeister
